Công ty bê tông bị tố dùng bãi đất trống huy động tiền của nhà đầu tư
Theo tìm hiểu của Tiền Phong, từ năm 2021 đến nay, Công ty Bảo Quân đã ký nhiều hợp đồng “Khế ước vay vốn” với người dân, kèm lời hứa sẽ bán đất giá ngoại giao cho họ khi dự án của công ty này được phê duyệt.
![]() |
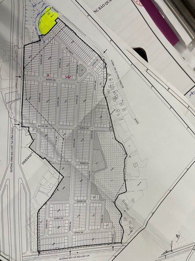
| Khu đất Công ty Bảo Quân hứa bán cho người dân. |
Điển hình, bà T, ở Vĩnh Phúc cho biết, Công ty Bảo Quân đã vẽ ra dự án từ một bãi đất trống (trạm trộn bê tông), đồng thời đưa ra bản vẽ thiết kế rất đẹp với đường rộng và giá "mềm" so với thị trường vào thời điểm góp vốn. Tuy nhiên, đã 2 năm kể từ tháng 3/2021 đến nay phía công ty vẫn chưa có bất kỳ hoạt động nào để triển khai dự án.
Mặt khác, trong hợp đồng có ghi rõ, nếu dự án không được phê duyệt thì công ty sẽ trả lại toàn bộ số tiền vốn và kèm theo lãi suất 8%/năm. Tuy nhiên đến nay, Công ty Bảo Quân chỉ hứa mà chưa hoàn trả lại số tiền cho người dân theo cam kết.
Trao đổi với Tiền Phong, ông Nguyễn Mạnh Hùng, Chủ tịch UBND huyện Bình Xuyên (Vĩnh Phúc) cho biết, đã nắm được việc Công ty Bảo Quân huy động vốn, và việc này UBND tỉnh và một số sở, ngành Vĩnh Phúc đã có văn bản thông báo tới Công ty Bảo Quân, người dân, nhà đầu tư…
![]() |
| Khế ước Công ty Bê tông Bảo Quân ký với người dân. |
“Ngoài việc huy động vốn trái phép, ông Hùng cũng cho biết, hiện Công ty Bảo Quân còn nợ bảo hiểm dẫn tới người lao động công ty này đình công và huyện phải đứng ra giải quyết”, ông Hùng nói.
Ở diễn biến khác, ông Lê Đức Thế, Trưởng phòng Quản lý nhà, phát triển đô thị và hạ tầng kỹ thuật (Sở Xây dựng Vĩnh Phúc) cho biết, “Công ty Bảo Quân không có bất cứ dự án nào đủ điều kiện huy động vốn, còn việc có huy động vốn hay không đó là thỏa thuận dân sự giữa công ty và người dân".
Được biết, đối với việc huy động vốn của Công ty Bê tông Bảo Quân đã bị Sở Xây dựng tỉnh Vĩnh Phúc yêu cầu dừng hoạt động này và tuân thủ đúng quy định của pháp luật. Nếu vi phạm, công ty sẽ bị xử lý theo quy định của pháp luật.
Ngoài ra, Sở Xây dựng tỉnh Vĩnh Phúc cũng yêu cầu Công ty Bảo Quân chứng minh việc họ không huy động vốn bằng cách bán lô đất hay đặt cọc giữ chỗ các lô đất ở; đồng thời công ty đã cam kết sẽ giải quyết vấn đề này với người dân bằng cách kiểm tra lại các thông tin về việc vay tiền của người dân và đối chiếu với hồ sơ tín dụng của công ty.
![]() |
| Bản vẽ về dự án Công ty Bảo Quân ký khế ước vay vốn người dân. |
Trong khi đó, ông Đỗ Trọng Hiếu đại diện cho Công ty Bảo Quân đã khẳng định, công ty không có bất kỳ hoạt động kinh doanh bất động sản nào và việc vay tiền từ người dân là một thỏa thuận giữa hai bên, công ty không ép buộc.
Vẫn theo ông này, việc công ty vay vốn của người dân là do tình hình khó khăn của doanh nghiệp trước đại dịch COVID-19 để có kinh phí đầu tư sản xuất kinh doanh. Công ty đã đồng ý trả lãi suất 8%/năm, cao hơn cả lãi suất của ngân hàng.
Nội dung ông Hiếu thông tin 'không khớp' với nội dung 'hứa bán đất giá ngoại giao' được thể hiện trong hợp đồng mà công ty này ký với người dân như đã nêu trên.
Tin liên quan
Nhà đầu tư e ngại rót vốn cho tín chỉ carbon xanh dương 03/12/2025 09:00
Sau giai đoạn thử thách nhà đầu tư, cổ phiếu FPT trở lại 23/10/2025 13:00
Cùng chuyên mục
Huế tăng cường kiểm soát thuốc lá lậu bán trên thương mại điện tử
Thị trường 14/12/2025 17:00
Dành 500 nghìn tỷ đồng cho vay ưu đãi hạ tầng điện, giao thông, công nghệ chiến lược
Tài chính 14/12/2025 15:00
Thương mại Việt - Mỹ giữ nhịp giữa thuế quan
Kinh tế 14/12/2025 11:00
Triển vọng ngành bất động sản- Tác động "siết tín dụng" ra sao?
Chứng khoán 14/12/2025 07:00
Tin tức ngân hàng nổi bật tuần qua: VietinBank tăng ưu đãi huy động, hút dòng tiền tiết kiệm cuối năm
Tài chính 14/12/2025 06:00
Châu Âu tái vũ trang, dòng vốn AI quốc phòng bùng nổ
Kinh tế 13/12/2025 17:00
Các tin khác
Tài sản số trong IFC: Từ sandbox đến huyết mạch của nền kinh tế mới
Kinh tế 13/12/2025 15:00
Sức mua giảm có làm khó PNJ?
Kinh tế 13/12/2025 13:00
Giá vàng hôm nay 13/12: Neo ở đỉnh cao 155,6 triệu/lượng
Kinh tế - Tài chính 13/12/2025 12:26
Kỳ vọng NHNN từng bước bãi bỏ hạn mức tín dụng toàn hệ thống
Tài chính 13/12/2025 11:00
Cú hích để Việt Nam trở thành trung tâm đầu tư tác động
Kinh tế 12/12/2025 15:00
Tín dụng chọn lọc
Tài chính 12/12/2025 11:00
Giá vàng hôm nay (12/12): Vàng trong nước giảm, thế giới tăng
Kinh tế - Tài chính 12/12/2025 10:46
Fed thực hiện đợt cắt giảm lãi suất thêm 0,25%
Kinh tế 12/12/2025 09:00
NHNN sẽ giữ nguyên lãi suất điều hành nếu lạm phát trong mục tiêu
Tài chính 12/12/2025 07:00
Đông Nam Á mở rộng hợp tác với Nam bán cầu
Kinh tế 11/12/2025 15:00
Giá vàng hôm nay 11/12: Tiến sát mốc 155 triệu đồng/lượng
Kinh tế - Tài chính 11/12/2025 11:30
Bài toán chinh phục tầng lớp tiêu dùng trung lưu
Thị trường 11/12/2025 11:00
Tiền điện tử mã hóa và quá trình "trái phiếu hóa" toàn cầu
Chứng khoán 11/12/2025 07:00
Chênh lệch tỷ giá tự do và chính thức tiếp tục thu hẹp
Kinh tế - Tài chính 10/12/2025 17:00
Ngân hàng Nhà nước hút ròng 1.676 tỷ đồng khi lãi suất liên ngân hàng nhích lên
Tài chính 10/12/2025 15:00
Đánh thức “mỏ vàng” trên không
Kinh tế 10/12/2025 13:00
Chứng khoán cuối năm còn dư địa tăng?
Chứng khoán 10/12/2025 09:00
Cơ quan thuế các địa phương tích cực hỗ trợ hộ kinh doanh chuyển đổi thuế
Tài chính 09/12/2025 11:00
Nỗ lực gỡ thẻ vàng thủy sản và khai thác nghề cá có trách nhiệm tại các vùng biển.
Video 11/02/2025 16:16
WORLDBANK DỰ BÁO KINH TẾ VIỆT NAM NĂM 2024 VÀ NĂM 2025 | NHỊP ĐẬP THỊ TRƯỜNG #62
Video 24/05/2024 15:33
Tọa đàm “Xúc tiến thương mại: Khơi thông đầu ra cho sản phẩm OCOP”
Video 20/11/2023 17:25
Trao yêu thương cho em
Video 10/10/2022 14:03
Kon Tum giải cứu nạn nhân bị lừa bán sang Campuchia
Video 10/10/2022 13:58


